Public notification reminders during Canada Post service disruption
Lake Country residents, businesses and property owners are reminded to SUBSCRIBE through the District of Lake Country website to receive News and Public Notices direct to an email inbox in order to get the latest information about applications to be considered at Council Meetings and Public Hearings that may be of interest to you. www.lakecountry.bc.ca/subscribe
Particularly during the Canada Post service disruption is it important to receive News and Public Notices via email. We also recommend signing up for a MyLakeCountry account and including an email address so you can receive your utility bills, property tax notices and business licence renewal information electronically so you do not miss a deadline, and you have access to your records anytime.
REZONING APPLICATION: FILE #: Z0000337 | Zoning Amendment Bylaw 1251, 2024
Notice is hereby given pursuant to Sections 464(3) and 467 of the Local Government Act (LGA) that a Public Hearing will NOT be held for the proposed Zoning Amendment (Z0000337) Bylaw 1251, 2024
WHAT: The purpose of this proposed bylaw amendment is to rezone the subject property located at 3551 and 3583 Woodsdale Rd. from RU1 – Small Scale Multi Unit Housing to RM5 – Medium Density Multiple Housing.
WHEN: Council is scheduled to consider the first, second, and third reading of the above noted bylaw at the December 17, 2024 Regular Council Meeting which will be held at Municipal Hall, 10150 Bottom Wood Lake Road at 7:00 pm.
A live stream of the meeting can be viewed on the website at https://www.lakecountry.bc.ca/council-meeting-calendar
PROPERTY: 3551 & 3583 Woodsdale Road, Lake Country BC

INFORMATION: The proposed bylaw and relevant information are available at Municipal Hall, Monday through Friday, 8:30 a.m. to 4:30 p.m., excluding weekends and statutory holidays or by email request to planning@lakecountry.bc.ca. Any correspondence received in response to this Notice will be distributed to Council and may be included in the Council Agenda package and published on the District of Lake Country.
View the Agenda Package: https://www.lakecountry.bc.ca/council-meeting-calendar
ADDITIONAL QUESTIONS:
Email planning@lakecountry.bc.ca
During Canada Post mail service disruption, drop off or courier to 10150 Bottom Wood Lake Road, Lake Country, BC V4V 2M1
Reyna Seabrook, Corporate Officer December 5, 2024
REZONING APPLICATION: FILE # Z0000345 | Zoning Amendment Bylaw 1252, 2024
Notice is hereby given pursuant to Sections 464(3) and 467 of the Local Government Act (LGA) that a Public Hearing will NOT be held for the proposed Zoning Amendment (Z0000345) Bylaw 1252, 2024.
WHAT: The purpose of this proposed bylaw amendment is to rezone the subject property located at 3223 Woodsdale Road and 11437 Bottom Wood Lake Road from C1 - Town Centre Commercial to CD15 - Comprehensive Development 15.
WHEN: Council is scheduled to consider the first, second, and third reading of the bylaw at the December 17, 2024 Regular Council Meeting which will be held at Municipal Hall, 10150 Bottom Wood Lake Road at 7:00 pm. A live stream of the meeting can be viewed on the District’s website at https://www.lakecountry.bc.ca/council-meeting-calendar.
PROPERTY: 3223 Woodsdale Road and 11437 Bottom Wood Lake Road, Lake Country, BC.

INFORMATION: File materials are available at the Municipal Hall, Monday through Friday, 8:30 a.m. to 4:30 p.m., excluding weekends and statutory holidays or by email request to admin@lakecountry.bc.ca. Any correspondence received in response to this Notice may be included in the Council Agenda package and published on the District of Lake Country website no later than Friday prior to the Council Meeting.
View the Agenda Package: https://www.lakecountry.bc.ca/council-meeting-calendar
Subscribe at lakecountry.bc.ca/subscribe to stay up to date
ADDITIONAL QUESTIONS:
Email planning@lakecountry.bc.ca
During the Canada Post mail service disruption, please drop off or courier to 10150 Bottom Wood Lake Road, Lake Country, BC V4V 2M1
Reyna Seabrook, Corporate Officer December 5, 2024
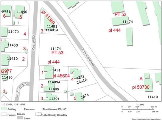
REZONING APPLICATION: FILE #: Z0000328 | Zoning Amendment Bylaw 1254, 2024
Notice is hereby given pursuant to Sections 464(3), 464(4), and 467 of the Local Government Act (LGA) that a Public Hearing will not be held for the proposed Zoning Amendment Bylaw 1254, 2024 (Z0000328).
WHAT: Council has been asked to consider a Zoning Amendment application (Zoning Amendment Bylaw 1254, 2024) to rezone the property from RU1 - Small-Scale Multiple Housing to RM2 – Low Density Row Housing to facilitate the development of multiple row housing buildings.
WHEN: Council is scheduled to consider the first, second, and third reading of the bylaw at the December 17, 2024 Regular Council Meeting which will be held at Municipal Hall, 10150 Bottom Wood Lake Road at 7:00 pm.
A live stream of the meeting can be viewed on the website at https://www.lakecountry.bc.ca/council-meeting-calendar.
PROPERTY: CIVIC: 11474 Petrie Road PID: 005-460-701

INFORMATION: The proposed bylaw and relevant information are available at Municipal Hall, Monday through Friday, 8:30 a.m. to 4:30 p.m., excluding weekends and statutory holidays or by email request to admin@lakecountry.bc.ca. Any correspondence received in response to this Notice will be distributed to Council and may be included in the Council Agenda package and published on the District of Lake Country. Written submissions for a public hearing that has been prohibited, will be accepted
until 4:30 p.m. on the date the bylaw is presented for third reading.
View the Agenda Package: https://www.lakecountry.bc.ca/council-meeting-calendar.
ADDITIONAL QUESTIONS:
Email planning@lakecountry.bc.ca
During the Canada Post mail service disruption, please drop off or courier to 10150 Bottom Wood Lake Road, Lake Country, BC V4V 2M1
Subscribe at lakecountry.bc.ca/subscribe to stay up to date.
Reyna Seabrook, Corporate Officer December 5, 2024