WHEN: Tuesday, April 1, 2025 at 7:00 pm
WHERE: Council Chambers Municipal Hall 10150 Bottom Wood Lake Rd OR Live Streaming: Visit www.lakecountry.bc.ca/council-meeting-calendar for meeting link
FILE #: TUP00104
WHAT: Council has been asked to consider a Temporary Use Permit to allow parking of equipment on the subject property.
A Temporary Use Permit may be issued for a maximum period of three years and may be renewed once. After that time, a new Temporary Use Permit may be requested. Council may specify conditions under which the Permit may be carried on.
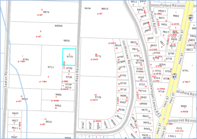
PROPERTY: CIVIC: 9770 Read Road PID: 003-181-669
Search by civic or PID in online mapping at https://gis.lakecountry.bc.ca/

INFORMATION:
Documents submitted with this application will be available:
- for review at the Municipal Hall, Monday through Friday, 8:30 a.m. to 4:30 p.m., excluding weekends and statutory holidays
- by email request @ planning@lakecountry.bc.ca.
The Council Agenda package, including the staff report and any correspondence received to date, will be published on the District of Lake Country Website no later than the Friday prior to the Council Meeting.
View the Agenda Package at: http://www.lakecountry.bc.ca/council-meeting-calendar
ADDITIONAL QUESTIONS:
Planning & Development Department: 250-766-6674
Subscribe at lakecountry.bc.ca/subscribe to stay up to date
Written submissions are included in the Temporary Use Permit package and will be posted on the District’s website.
HAVE YOUR SAY:
Email planning@lakecountry.bc.ca
Mail to 10150 Bottom Wood Lake Road, Lake Country, BC V4V 2M1